ताजा खबर

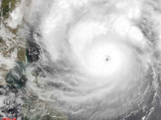
Viral Fact Check new : Cyclone Biparjoy गृह मंत्री अमित शाह आज लेंगे गुजरात का जायजा, राजस्थान में बारिश का अलर्ट

Photo Source :

Posted On:Saturday, June 17, 2023

15 जून को तटीय गुजरात में लैंडफॉल बनाने के बाद चक्रवात बिपारजॉय की तीव्रता को "बहुत गंभीर" से "गंभीर" कर दिया गया था। हालाँकि, चक्रवात बिपारजॉय के बारे में गलत सूचना पहले की तरह ही सोशल मीडिया पर प्रसारित हो रही है।इस लेख में, हम दो वायरल वीडियो की तथ्य-जांच करेंगे जो कथित तौर पर चक्रवात के प्रभाव को दर्शाते हैं।चलती स्कूटी पर गिरा पेड़पहले वीडियो में एक पेड़ का एक बड़ा हिस्सा उसके नीचे से गुजर रहे एक स्कूटर पर गिरते हुए, उसे और उसमें सवार लोगों को जमीन पर गिराते हुए और सड़क को आंशिक रूप से अवरुद्ध करते हुए दिखाया गया है।

एक व्यक्ति ने वीडियो को ट्वीट करते हुए लिखा, "तेज़ हवाओं के कारण दुर्भाग्यपूर्ण घटनाएं होती रहती हैं। बाहर यात्रा करना असुरक्षित है। #CycloneBiporjoy।" पोस्ट का आर्काइव्ड वर्जन यहां देखा जा सकता है।हमने वीडियो के कीफ्रेम्स को रिवर्स-सर्च किया और मई 2023 की कई मीडिया रिपोर्ट्स में समान क्लिप पाया। 30 मई को प्रकाशित एनडीटीवी की एक रिपोर्ट के अनुसार, वीडियो राजस्थान के जोधपुर का था।घटना में स्कूटी सवार तीन लोगों के घायल होने की खबर है। राजस्थान के कुछ हिस्सों में 28 और 29 मई को ऑरेंज अलर्ट और 30 और 31 मई के लिए यलो अलर्ट जारी किया गया था।

यह वीडियो 30 मई को इकोनॉमिक टाइम्स के यूट्यूब चैनल पर भी अपलोड किया गया था। वीडियो के शीर्षक में कहा गया है, "जोधपुर में सनकी दुर्घटना, चलती स्कूटर पर पेड़ गिरा, 3 सवार घायल, घटना कैमरे में कैद।"इसलिए, यह स्पष्ट है कि विचाराधीन वीडियो कम से कम दो सप्ताह पुराना है और राजस्थान का है।डरावना बवंडरदूसरा वीडियो कथित तौर पर गुजरात में कच्छ की खाड़ी के दक्षिणी तट पर स्थित देवभूमि द्वारका जिले से टकराते हुए चक्रवात बिपारजॉय को दिखाता है। वीडियो ने एक विशाल बवंडर को आगे बढ़ते हुए दिखाया, जिससे रास्ते में बिजली के विस्फोट दिखाई दिए। पोस्ट का आर्काइव्ड वर्जन यहां देखा जा सकता है।

इस वीडियो का सबसे पुराना संस्करण हम एक रिवर्स खोज के माध्यम से पा सकते हैं जो 5 मई, 2022 का था। उस समय, इसे सोशल मीडिया पर कई लोगों द्वारा साझा किया गया था, जिसमें कहा गया था कि यह एंडोवर बवंडर दिखाता है जो मैसाचुसेट्स, संयुक्त राज्य अमेरिका में एंडोवर से टकराया था। 29 अप्रैल, 2022 को।समाचार रिपोर्टों के अनुसार, एंडोवर में लगभग 1,000 इमारतें बवंडर से प्रभावित हुईं। टाइम्स नाउ की एक रिपोर्ट में भी यही क्लिप दिखाया गया था जिसमें दावा किया गया था कि वीडियो एंडोवर बवंडर का था। हालांकि, हम स्वतंत्र रूप से वीडियो के स्रोत की पुष्टि नहीं कर सके।इसलिए, यह स्पष्ट है कि विचाराधीन वीडियो एक वर्ष से अधिक पुराना है और भारत का बिल्कुल भी नहीं है।


चण्डीगढ़ और देश, दुनियाँ की ताजा ख़बरे हमारे Facebook पर पढ़ने के लिए यहां क्लिक करें,
और Telegram चैनल पर पढ़ने के लिए यहां क्लिक करें



You may also like !

मेरा गाँव मेरा देश

अगर आप एक जागृत नागरिक है और अपने आसपास की घटनाओं या अपने क्षेत्र की समस्याओं को हमारे साथ साझा कर अपने गाँव, शहर और देश को और बेहतर बनाना चाहते हैं तो जुड़िए हमसे अपनी रिपोर्ट के जरिए. chandigarhvocalsteam@gmail.com

Follow us on

Copyright © 2021  |  All Rights Reserved.

Powered By Newsify Network Pvt. Ltd.